Looe Key Sanctuary Preservation Area (SPA) is located approximately 5.5 nautical miles south of Ramrod Key and about eight nautical miles southwest of Bahia Honda State Park.
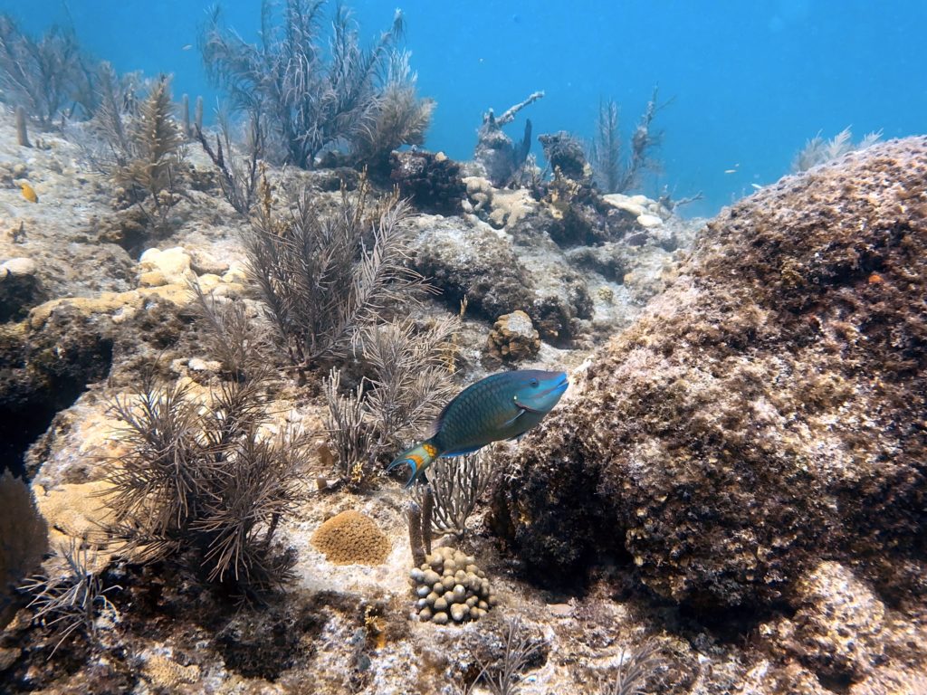
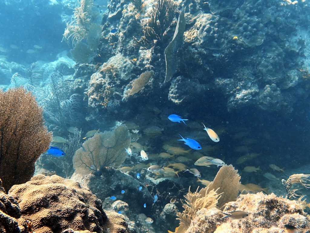
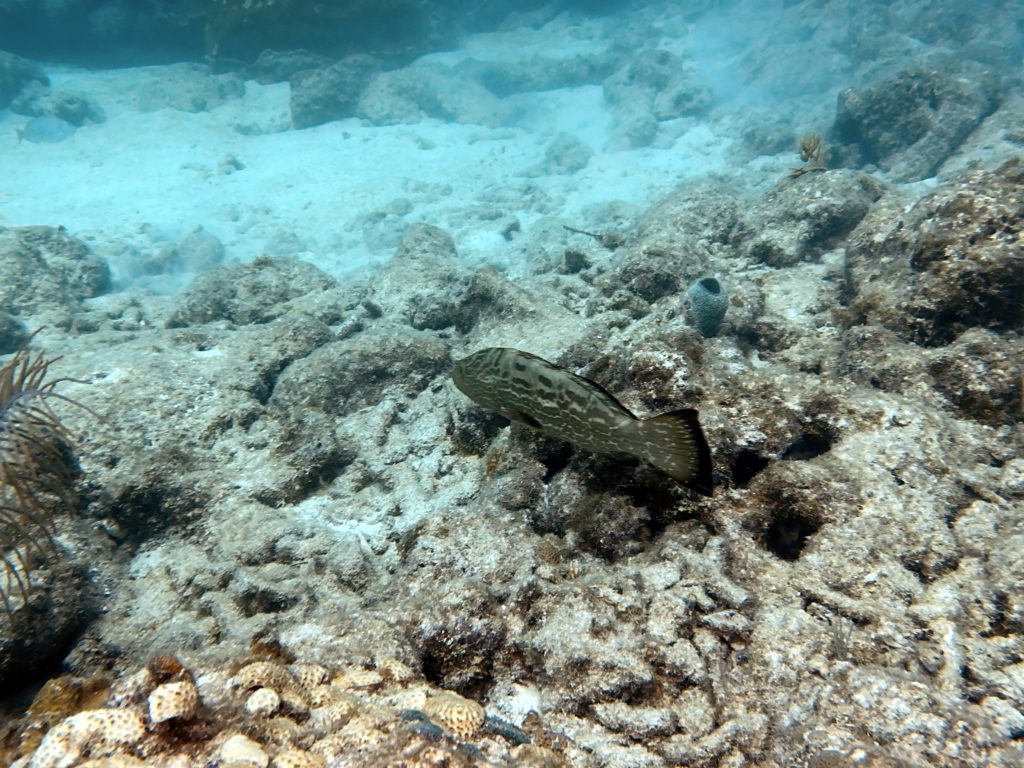
A diversity of fish congregate here – parrots and surgeonfish on the north side; barracudas and jacks on top of the reef; grunts, butterflyfish, and angelfish on the reef crest.